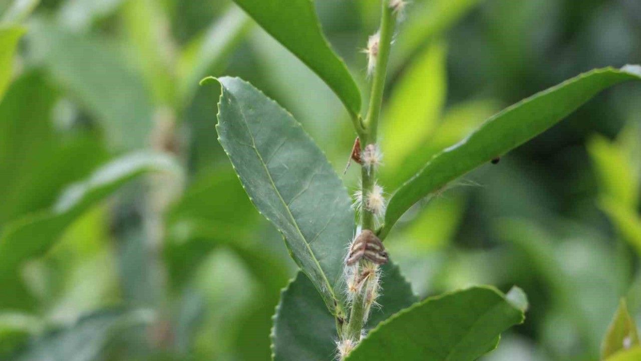
Rize’de yeşil bitkilerin özünü emerek çiftçilerin kabusu haline gelen bu zararlı tür, Temmuz ayında bıraktığı yumurtaların Ağustos ayında kelebeğe dönüşmesiyle bitkilere ciddi zarar veriyor.
Rize’nin Çayeli ilçesinde yaşayan Adnan Cengiz, vampir kelebeklerin çay başta olmak üzere pek çok ürünü olumsuz etkilediğini belirterek, “Karadeniz bölgesinde Rize Çayeli’nde bu kelebek haddinden fazla türedi. Sizin de gördüğünüz gibi salatalıkları, fasulyeleri ve meyveleri tamamen kuruttu. Tarım Bakanımız bunun için bilhassa bu kelebekler için şikâyetçiyiz. Gece evde oturamıyoruz, gece kapılara ve pençelere çıkamıyoruz. Her taraf kelebek dolu, bundan biz rahatsızız ne olacak bilmiyoruz. Karadeniz bölgesini bu kelebekler tamamen sardı. Rahatsız oluyoruz, hiç meyve ve çay kalmadı. Bas baya bizi rahatsız ediyor. Buna büyüklerimiz bir el atsa da bunlardan bizi kurtarsınlar” dedi.
Uzmanlar, vampir kelebeğin yayılımının kontrol altına alınmaması durumunda bölgedeki tarımsal üretimde ciddi kayıplar yaşanabileceğini belirtiyor.





